您现在的位置:
首页
>
政府信息公开
>
市政府组成部门
>
市自然资源局
>
通知公告
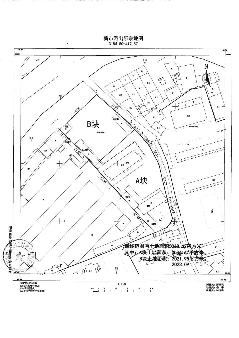
关于拟补办汨罗市公安局新市派出所用地审批手续的公示
来源:汨罗市自然资源局
日期:2023-11-06 08:22
浏览量:
1
|
|
|
|