归档时间:2019-04-25
您现在的位置:
首页
>
政府信息公开
>
市政府组成部门
>
规划局
>
通知公告
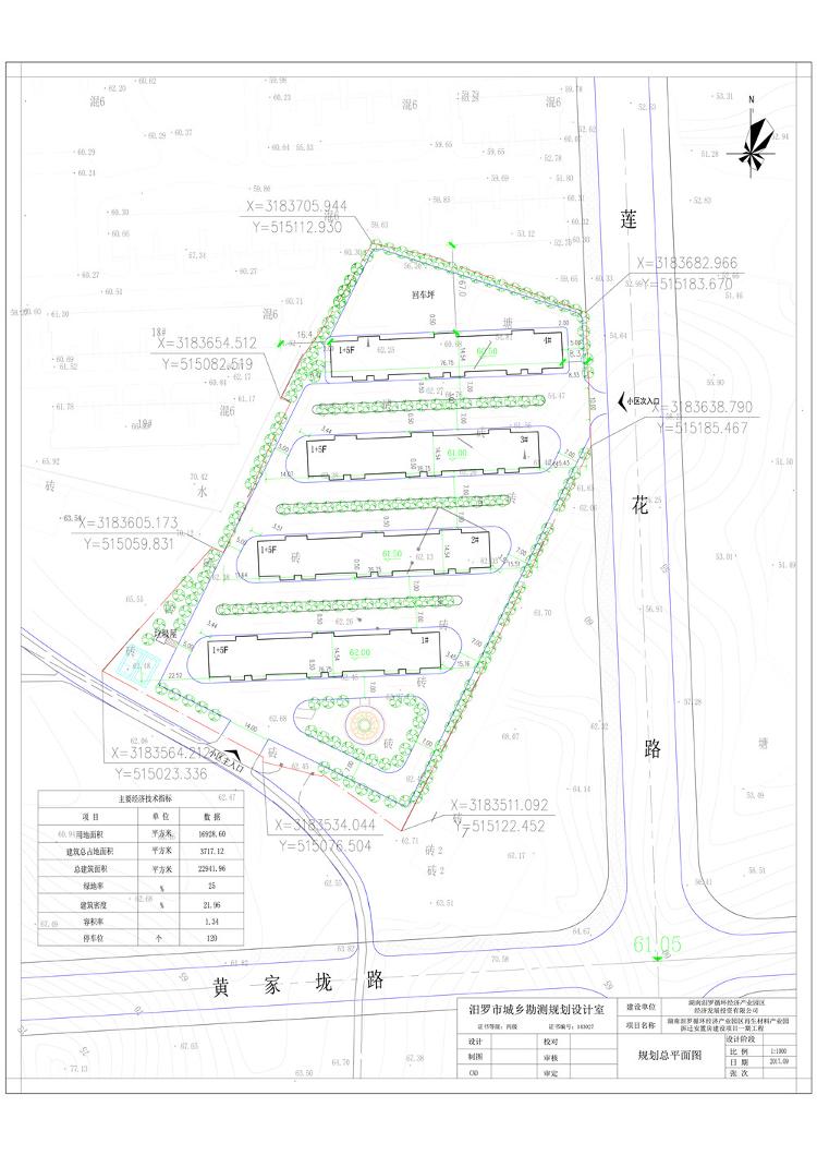
“湖南汨罗循环经济产业园区再生材料产业园拆迁安置房”建设项目一期工程批前公示
来源:汨罗市规划局
日期:2017-09-28 17:16
浏览量:
1
|
|
|
|